Zadnje aktivnosti

Posljednje aktivnosti korisnika mogu vidjeti samo registrirani korisnici.

Online korisnici

Online korisnike Agrokluba mogu vidjeti samo registrirani korisnici.
Za potpune funkcionalnosti ovih servisa, prijavi se.

Promo

  • Zlatica na patlidžanu
  • 17.05.2023. 07:30

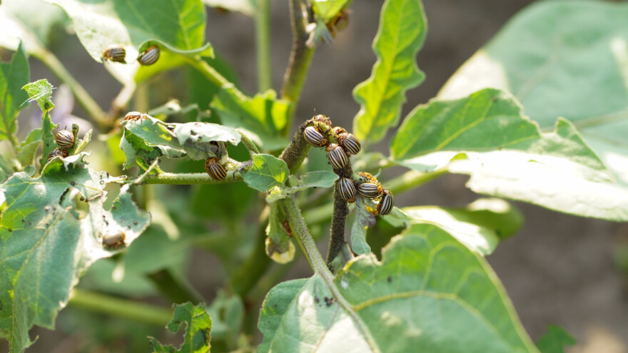
Zlatica krompira na patlidžanu: Oprezno sa upotrebom insekticida - šta raditi?

Krompirove zlatice predstavljaju veliki problem u proizvodnji patlidžana jer se plodovi formiraju na biljci. Šta napraviti kada je napad jak?

Zlatica krompira na patlidžanu: Oprezno sa upotrebom insekticida - šta raditi?
Foto: Depositphotos/aprilphoto
1.160
92
0

Od zlatice krompira strada i patlidžan. U suzbijanju je potrebno mnogo strpljenja. Na početku vegetacije više se zadržavaju na usjevu krompira, ali kako vrijeme odmiče, biće ih sve više na biljkama patlidžana.

Problem kod suzbijanja je što treba biti veoma obazriv kada je u pitanju upotreba insekticida koje preporučuju za upotrebu u krompiru. Razlog tome je što se plodovi formiraju na biljci i direktno su izloženi negativnom dejstvu insekticida.

Preventivne mjere 

Pažljivo odaberite lokaciju za sadnju. Neće im odgovarati gredice i parcele na kojima ste već uzgajali ovu kulturu i srodnike. Na istu parcelu može doći poslije tri do četiri godine. Sadite ih što dalje od paradajza i krompira.

Na početku napada možemo ih sakupljati ručno, najbolje ujutro i uveče. Koriste se i klopke sa korama krompira u rastvoru azotnog đubriva. Čaše s oguljenom korom se postavljaju u razinu zemlje. Insekte sakupljamo svakodnevno, a mamac mijenjamo po potrebi.

Malčiranja površina predstavlja prepreku za kretanje odraslih zlatica iz zemlje na biljke i obratno. Najbolje se pokazao malč od koprive, jer ih žarne dlačice odbijaju pa izbjegavaju ovakve površine.

Biljke se mogu posipati drvenim pepelom, kukuruznim brašnom, gipsom, cementom. To ćemo uraditi ujutro kada su još vlažne od rose ili poslije kiše. Prisustvo vode na listovima obezbijediće da se prah zalijepi što odbija štetočinu. Problem je što ovom metodom trošimo velike količine praškaste materije i postupak se često mora ponavljati.

Zašto je dobar i za šta se sve koristi pepeo?

Možemo saditi biljke koje djeluju kao repelenti, jer zlatica ne podnosi njihov miris. Najefikasniji su se pokazali pelin, neven, celer, dragoljub, gorušica.

Šta kada je napad jak?

Međutim, kod jakog napada biće neophodno da primijenimo različita sredstva. Jedan uspješan preparat možemo i sami napraviti od listova maslačka, crnog i bijelog luka. Dovoljno je uzeti po čašu od svake vrste i usitniti ili još bolje samljeti. Dobivena masa se prelijeva s 10 l vode i ostavi 3 h. Sadržaj se procijedi, dodamo do dvije kašike sitno narendanog ili tečnog sapuna i preparat je spreman za upotrebu. Djeluje protiv i na sve razvojne faze zlatice i protiv grinja i lisnih ušiju. Osim toga, efikasni su pripravci od duhana, pelina, bijelog i crvenog luka.

Rastvor koji pripremamo od odraslih larvi je dobro poznat. Skupimo oko 250 g štetočine koje se preliju s 10 l vode i ostavi do pet dana kada većina insekata potone na dno. Rastvor se procijedi i razblaži vodom u odnosu 1:2. Tretiranje se obavlja jednom u 15 dana.


Povezana biljna vrsta

Patlidžan

Patlidžan

Engleski naziv: Eggplant | Latinski naziv: Solanum melongena L.

Patlidžan se uzgaja na površinama manjim od onih za paradajz i papriku. U zemljama Afrike i Azije, kao i na Mediteranu smatra se kao korisno povrće i nazivaju ga mesom jer je... Više [+]

Tagovi

Patlidžan Zlatica krompira Štetočina patlidžana Zlatica na patlidžanu Klopka za zlatice Špricanje zlatice Suzbijanje zlatice


Autorica

Ranka Vojnović

Više [+]

Diplomirani inženjer poljoprivrede sa dugogodišnjim iskustvom u povrćarstvu, zaljubljenik u organsku poljoprivredu i druge oblike alternativne poljoprivrede poput biodinamike i permakulture.

Izdvojeni tekstovi

Izdvojen oglas

KLUB

Glamočki Kovačević krompir - ove godine 80 tona. Cijene su 1 KM/kg za količine od tone, za maloprodaju 1,50 KM, a sjemenski 2 KM/kg.